| µû¼ï |
£²£°£±£µ¥¯¥í¥À¥¤¡¦¥°¥ì¥À¡¼¥Ó¡¼ |
¾ì½ê |
ͳÎÉ |
| ¤Ä¤ê¿Í |
¥Ë¥Ã¥¯¥Í¡¼¥à¡¡¥¢¥Ã¥¡¼ÍÍ
|
¡Ú¾ðÊó¡ÛÄᲬŹ |
|
Äà²Ì
|
¡ÚÆü»þ¡Û£±£±·î£²£¹Æü
¡ÚÄà²Ì¡Û£´£±Ñ¡¡£±¡¥£±£¸£ë£ç¡¡¡¡
¤ª¤á¤Ç¤È¤¦¤´¤¶¤¤¤Þ¤¹¡£
|
|
|
| µû¼ï |
£²£°£±£µ¥¯¥í¥À¥¤¡¦¥°¥ì¥À¡¼¥Ó¡¼ |
¾ì½ê |
ÁÍ¥ö´Ø |
| ¤Ä¤ê¿Í |
¥Ë¥Ã¥¯¥Í¡¼¥à¡¡¥µ¥«¥¤ÍÍ
|
¡Ú¾ðÊó¡Û»³·ÁËÌŹ |
|
Äà²Ì
|
¡ÚÆü»þ¡Û£±£±·î£²£·Æü
¡ÚÄà²Ì¡Û£´£¶¡¥£µÑ¡¡£²¡¥£²£¶£ë£ç¡¡¡¡
¤ª¤á¤Ç¤È¤¦¤´¤¶¤¤¤Þ¤¹¡£
|
|
|
| µû¼ï |
£²£°£±£µ¥¯¥í¥À¥¤¡¦¥°¥ì¥À¡¼¥Ó¡¼ |
¾ì½ê |
²¹³¤°ë |
| ¤Ä¤ê¿Í |
¥Ë¥Ã¥¯¥Í¡¼¥à¡¡¥¥èÍÍ
|
¡Ú¾ðÊó¡Û»³·ÁËÌŹ |
|
Äà²Ì
|
¡ÚÆü»þ¡Û£±£±·î£²£¶Æü
¡ÚÄà²Ì¡Û£³£·Ñ¡¡£°¡¥£¸£²£ë£ç¡¡¡¡
¤ª¤á¤Ç¤È¤¦¤´¤¶¤¤¤Þ¤¹¡£
|
|
|
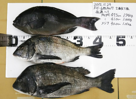
| µû¼ï |
£²£°£±£µ¥¯¥í¥À¥¤¡¦¥°¥ì¥À¡¼¥Ó¡¼ |
¾ì½ê |
º´ÅÏ |
| ¤Ä¤ê¿Í |
¥Ë¥Ã¥¯¥Í¡¼¥à¡¡»ÎÆ»²ñTÍÍ
|
¡Ú¾ðÊó¡Û»³·ÁËÌŹ |
|
Äà²Ì
|
¡ÚÆü»þ¡Û£±£±·î£²£´Æü
¡ÚÄà²Ì¡Û¥¯¥í¥À¥¤¡¡£´£·¡¥£µÑ¡¡£±¡¥£·£´£ë£ç¡¡¡¦¡¡£´£±cm £±¡¥£°kg
¥°¥ì¡¡£´£°cm £±¡¥£°£±kg¡¡
¤ª¤á¤Ç¤È¤¦¤´¤¶¤¤¤Þ¤¹¡£
|
|
|
| µû¼ï |
£²£°£±£µ¥¯¥í¥À¥¤¡¦¥°¥ì¥À¡¼¥Ó¡¼ |
¾ì½ê |
º´ÅÏ |
| ¤Ä¤ê¿Í |
¥Ë¥Ã¥¯¥Í¡¼¥à¡¡AKIRAÍÍ
|
¡Ú¾ðÊó¡ÛÄᲬŹ |
|
Äà²Ì
|
¡ÚÆü»þ¡Û£±£±·î£²£³Æü
¡ÚÄà²Ì¡Û¥¯¥í¥À¥¤¡¡£´£µÑ¡¡£±¡¥£´£ë£ç¡¡Â¾¡¡
¤ª¤á¤Ç¤È¤¦¤´¤¶¤¤¤Þ¤¹¡£
|
|
| µû¼ï |
¥·¡¼¥Ð¥¹ |
¾ì½ê |
¾±Æâ¥µ¡¼¥Õ |
| ¤Ä¤ê¿Í |
¸Þ½½ÍòÍÍ
|
¡Ú¾ðÊó¡ÛÄᲬŹ |
|
Äà²Ì
|
¡ÚÆü»þ¡Û£±£±·î£²£³Æü
¡ÚÄà²Ì¡Û¡¡£·£µÑ¡¡£³¡¥£µkg¡¡Â¾
¤ª¤á¤Ç¤È¤¦¤´¤¶¤¤¤Þ¤¹¡£
|

|
| µû¼ï |
¥·¡¼¥Ð¥¹ |
¾ì½ê |
¾±Æâ°ë |
| ¤Ä¤ê¿Í |
¾åÅÄÍÍ
|
¡Ú¾ðÊó¡ÛÄᲬŹ |
|
Äà²Ì
|
¡ÚÆü»þ¡Û£±£±·î£²£³Æü
¡ÚÄà²Ì¡Û¡¡£·£µÑ¡¡£³¡¥£·£µkg¡¡Â¾
¤ª¤á¤Ç¤È¤¦¤´¤¶¤¤¤Þ¤¹¡£
|
|
| µû¼ï |
¥°¥ì |
¾ì½ê |
ÁÍ¥ö´Ø |
| ¤Ä¤ê¿Í |
ËÜ´ÖÍÍ |
¡Ú¾ðÊó¡ÛÄᲬŹ |
|
Äà²Ì
|
¡ÚÆü»þ¡Û£±£±·î£²£³Æü
¡ÚÄà²Ì¡Û¥°¥ì¡¡£²£¸Ñ¡¡£°¡¥£´£´£ë£ç¡¡
¤ª¤á¤Ç¤È¤¦¤´¤¶¤¤¤Þ¤¹¡£
|
|
| µû¼ï |
£²£°£±£µ¥¯¥í¥À¥¤¡¦¥°¥ì¥À¡¼¥Ó¡¼ |
¾ì½ê |
²ÃÌаë |
| ¤Ä¤ê¿Í |
¥Ë¥Ã¥¯¥Í¡¼¥à¡¡³¤Æ£ÍÍ
|
¡Ú¾ðÊó¡ÛÄᲬŹ |
|
Äà²Ì
|
¡ÚÆü»þ¡Û£±£±·î£²£³Æü
¡ÚÄà²Ì¡Û¥°¥ì¡¡£³£±¡¥£µÑ¡¡£°¡¥£¶£µ£ë£ç¡¡£³£°cm¡¡£°¡¥£µ£´kg
¤ª¤á¤Ç¤È¤¦¤´¤¶¤¤¤Þ¤¹¡£
|
|
| µû¼ï |
¥¯¥í¥À¥¤ |
¾ì½ê |
º´ÅÏ |
| ¤Ä¤ê¿Í |
ÃæÂ¼ÍÍ
|
¡Ú¾ðÊó¡ÛÄᲬŹ |
|
Äà²Ì
|
¡ÚÆü»þ¡Û£±£±·î£²£³Æü
¡ÚÄà²Ì¡Û¡¡£´£¸¡¥£µÑ¡¡£²¡¥£±kg¡¡Â¾£²£¹Ë硪
¤ª¤á¤Ç¤È¤¦¤´¤¶¤¤¤Þ¤¹¡£
|
|
| µû¼ï |
£²£°£±£µ¥¯¥í¥À¥¤¡¦¥°¥ì¥À¡¼¥Ó¡¼ |
¾ì½ê |
²¹³¤°ë |
| ¤Ä¤ê¿Í |
¥Ë¥Ã¥¯¥Í¡¼¥à¡¡M,TÍÍ
|
¡Ú¾ðÊó¡Û»³·ÁËÌŹ |
|
Äà²Ì
|
¡ÚÆü»þ¡Û£±£±·î£²£³Æü
¡ÚÄà²Ì¡Û¥°¥ì¡¡£³£°Ñ¡¡£°¡¥£µ£³£ë£ç¡¡
¤ª¤á¤Ç¤È¤¦¤´¤¶¤¤¤Þ¤¹¡£
|
|
| µû¼ï |
¥·¡¼¥Ð¥¹ |
¾ì½ê |
¾±Æâ°ë |
| ¤Ä¤ê¿Í |
f¡¢satoÍÍ
|
¡Ú¾ðÊó¡ÛÄᲬŹ |
|
Äà²Ì
|
¡ÚÆü»þ¡Û£±£±·î£²£³Æü
¡ÚÄà²Ì¡Û¡¡£·£¸Ñ¡¡£´¡¥£²kg
¤ª¤á¤Ç¤È¤¦¤´¤¶¤¤¤Þ¤¹¡£
|

|
|
| µû¼ï |
£²£°£±£µ¥¯¥í¥À¥¤¡¦¥°¥ì¥À¡¼¥Ó¡¼ |
¾ì½ê |
¾Ý³ã |
| ¤Ä¤ê¿Í |
¥Ë¥Ã¥¯¥Í¡¼¥à¡¡GEKICHOUÍÍ
|
¡Ú¾ðÊó¡ÛÄᲬŹ |
|
Äà²Ì
|
¡ÚÆü»þ¡Û£±£±·î£²£²Æü
¡ÚÄà²Ì¡Û¥¯¥í¥À¥¤¡¡£´£´Ñ¡¡£±¡¥£´£µ£ë£ç¡¡
¤ª¤á¤Ç¤È¤¦¤´¤¶¤¤¤Þ¤¹¡£
|
|
| µû¼ï |
¥·¡¼¥Ð¥¹ |
¾ì½ê |
¾±Æâ¥µ¡¼¥Õ |
| ¤Ä¤ê¿Í |
EFTÍÍ
|
¡Ú¾ðÊó¡Û»³·ÁËÌŹ |
|
Äà²Ì
|
¡ÚÆü»þ¡Û£±£±·î£²£²Æü
¡ÚÄà²Ì¡Û¡¡£¶£·Ñ¡¡£²¡¥£±kg
¤ª¤á¤Ç¤È¤¦¤´¤¶¤¤¤Þ¤¹¡£
|
|
|
| µû¼ï |
¥·¡¼¥Ð¥¹ |
¾ì½ê |
¾±Æâ¥µ¡¼¥Õ |
| ¤Ä¤ê¿Í |
TOTO²°ÍÍ
|
¡Ú¾ðÊó¡ÛÄᲬŹ |
|
Äà²Ì
|
¡ÚÆü»þ¡Û£±£±·î£±£¹Æü
¡ÚÄà²Ì¡Û¡¡£¸£³Ñ¡¡£³¡¥£·kg
¥é¥ó¥«¡¼¥·¡¼¥Ð¥¹¤ª¤á¤Ç¤È¤¦¤´¤¶¤¤¤Þ¤¹¡£
|
|
| µû¼ï |
¥·¡¼¥Ð¥¹ |
¾ì½ê |
¼òÅÄË̹Á |
| ¤Ä¤ê¿Í |
À¾ÀîÍÍ
|
¡Ú¾ðÊó¡ÛÄᲬŹ |
|
Äà²Ì
|
¡ÚÆü»þ¡Û£±£±·î£±£¹Æü
¡ÚÄà²Ì¡Û¡¡£·£±Ñ¡¡£²¡¥£¶£µkg¡¡Â¾
¤ª¤á¤Ç¤È¤¦¤´¤¶¤¤¤Þ¤¹¡£
|
|
| µû¼ï |
¥·¡¼¥Ð¥¹ |
¾ì½ê |
¼òÅÄË̹Á |
| ¤Ä¤ê¿Í |
¸Þ½½ÍòÍÍ
|
¡Ú¾ðÊó¡ÛÄᲬŹ |
|
Äà²Ì
|
¡ÚÆü»þ¡Û£±£±·î£±£¹Æü
¡ÚÄà²Ì¡Û¡¡£¶£¶Ñ¡¡£²¡¥£´kg¡¡Â¾
¤ª¤á¤Ç¤È¤¦¤´¤¶¤¤¤Þ¤¹¡£
|

|
|
| µû¼ï |
¥·¡¼¥Ð¥¹ |
¾ì½ê |
ÀÖÀ¡¼¥Õ |
| ¤Ä¤ê¿Í |
¥¢¥ÙÍÍ
|
¡Ú¾ðÊó¡ÛÄᲬŹ |
|
Äà²Ì
|
¡ÚÆü»þ¡Û£±£±·î£±£·Æü
¡ÚÄà²Ì¡Û¡¡£¸£²¡¥£µÑ¡¡£´¡¥£¶kg
¥·¡¼¥Ð¥¹Âçµù¡ª¤ª¤á¤Ç¤È¤¦¤´¤¶¤¤¤Þ¤¹¡£
|
|
| µû¼ï |
¥¢¥¸¥ó¥° |
¾ì½ê |
¼òÅÄÎ¥´ß |
| ¤Ä¤ê¿Í |
SÍÍ
|
¡Ú¾ðÊó¡Û»³·ÁËÌŹ |
|
Äà²Ì
|
¡ÚÆü»þ¡Û£±£±·î£±£·Æü
¡ÚÄà²Ì¡Û¡¡£²£¹Ñ¡¡Â¾Â¿¿ô
¤ª¤á¤Ç¤È¤¦¤´¤¶¤¤¤Þ¤¹¡£
|
|
| µû¼ï |
¥·¡¼¥Ð¥¹ |
¾ì½ê |
ÅòÌîÉÍ¥µ¡¼¥Õ |
| ¤Ä¤ê¿Í |
¥¹¥¿¥Ã¥ÕÅÄÃæ |
¡Ú¾ðÊó¡ÛÄᲬŹ |
|
Äà²Ì
|
¡ÚÆü»þ¡Û£±£±·î£±£·Æü
¡ÚÄà²Ì¡Û¡¡£¶£·Ñ¡¡£²¡¥£´kg
£µÅêÌܤÇÄà¤ì¤Þ¤·¤¿¡ª¡ª
|

|
|
| µû¼ï |
¥¯¥í¥À¥¤ |
¾ì½ê |
¼òÅÄ |
| ¤Ä¤ê¿Í |
»ù¶ÌÍÍ
|
¡Ú¾ðÊó¡ÛÄᲬŹ |
|
Äà²Ì
|
¡ÚÆü»þ¡Û£±£±·î£±£¶Æü
¡ÚÄà²Ì¡Û¡¡£´£¶¡¥£µÑ¡¡£±¡¥£¶£¸kg
¤ª¤á¤Ç¤È¤¦¤´¤¶¤¤¤Þ¤¹¡£
|
|
|
| µû¼ï |
¥·¡¼¥Ð¥¹¡¦¥µ¥ï¥é |
¾ì½ê |
¾±Æâ¥µ¡¼¥Õ |
| ¤Ä¤ê¿Í |
º´Æ£ÍÍ
|
¡Ú¾ðÊó¡ÛÄᲬŹ |
|
Äà²Ì
|
¡ÚÆü»þ¡Û£±£±·î£±£µÆü
¡ÚÄà²Ì¡Û¡¡£·£µÑ¡¡
º£¤¬¥Á¥ã¥ó¥¹¡ª¤ª¤á¤Ç¤È¤¦¤´¤¶¤¤¤Þ¤¹¡£
|
|
| µû¼ï |
¥·¡¼¥Ð¥¹¡¦¥Ò¥é¥á |
¾ì½ê |
¾±Æâ¥µ¡¼¥Õ |
| ¤Ä¤ê¿Í |
º£ÌîÍÍ
|
¡Ú¾ðÊó¡ÛÄᲬŹ |
|
Äà²Ì
|
¡ÚÆü»þ¡Û£±£±·î£±£µÆü
¡ÚÄà²Ì¡Û¡¡£·£°¡¥£µÑ¡¡£²¡¥£¶kg
º£¤¬¥Á¥ã¥ó¥¹¤Ç¤¹¡ª¤ª¤á¤Ç¤È¤¦¤´¤¶¤¤¤Þ¤¹¡£
|
|
|
| µû¼ï |
£²£°£±£µ¥¯¥í¥À¥¤¡¦¥°¥ì¥À¡¼¥Ó¡¼ |
¾ì½ê |
Ȭ²µ½÷ |
| ¤Ä¤ê¿Í |
¥Ë¥Ã¥¯¥Í¡¼¥à¡¡¥¥èÍÍ
|
¡Ú¾ðÊó¡ÛÄᲬŹ |
|
Äà²Ì
|
¡ÚÆü»þ¡Û£±£±·î£±£´Æü
¡ÚÄà²Ì¡Û¥¯¥í¥À¥¤¡¡£´£´¡¥£µÑ¡¡£±¡¥£³£¶£ë£ç¡¡Â¾
¤ª¤á¤Ç¤È¤¦¤´¤¶¤¤¤Þ¤¹¡£
|
|
|
| µû¼ï |
¥Ö¥ê |
¾ì½ê |
ÁÍ¥ö´Ø² |
| ¤Ä¤ê¿Í |
²ÃÆ£ÍÍ
|
¡Ú¾ðÊó¡ÛÄᲬŹ |
|
Äà²Ì
|
¡ÚÆü»þ¡Û£±£±·î£±£²Æü
¡ÚÄà²Ì¡Û¡¡£¹£±Ñ¡¡£¸¡¥£²kg
º£Ç¯½é¥Ö¥ê¡ª¡ª¤ª¤á¤Ç¤È¤¦¤´¤¶¤¤¤Þ¤¹¡£
|
|
|
| µû¼ï |
¥·¡¼¥Ð¥¹ |
¾ì½ê |
ÇòÌÚ¥µ¡¼¥Õ |
| ¤Ä¤ê¿Í |
º´Æ£¡¦²¬ÉôÍÍ
|
¡Ú¾ðÊó¡ÛÄᲬŹ |
|
Äà²Ì
|
¡ÚÆü»þ¡Û£±£±·î£±£±Æü
¡ÚÄà²Ì¡Û¡¡£·£±Ñ¡¡¡¡£¶£µ¡¥£µÑ
¥·¡¼¥Ð¥¹Äà¤ì¤Æ¤¤¤Þ¤¹¡ª¡ª¤ª¤á¤Ç¤È¤¦¤´¤¶¤¤¤Þ¤¹¡£
|
|
|
| µû¼ï |
¥Ë¥¸¥Þ¥¹ |
¾ì½ê |
¢²¦¥Õ¥©¥ì¥¹¥È |
| ¤Ä¤ê¿Í |
ÅÏÊÕÍÍ |
¡Ú¾ðÊó¡ÛŷƸŹ |
|
Äà²Ì
|
¡ÚÆü»þ¡Û£±£±·î£¸Æü
¡ÚÄà²Ì¡Û¡¡£¶£°Ñ
¤ª¤á¤Ç¤È¤¦¤´¤¶¤¤¤Þ¤¹¡£
|
|
| µû¼ï |
¥Ò¥é¥á¡¢¥µ¥ï¥é |
¾ì½ê |
¾±Æâ¥µ¡¼¥Õ |
| ¤Ä¤ê¿Í |
º£ÌîÍÍ |
¡Ú¾ðÊó¡ÛÄᲬŹ |
|
Äà²Ì
|
¡ÚÆü»þ¡Û£±£±·î£¸Æü
¡ÚÄà²Ì¡Û¡¡£¶£³Ñ¡¡£²¡¥£³kg¡¡Â¾
¥Ê¥¤¥¹¥µ¥¤¥º¡ª¤ª¤á¤Ç¤È¤¦¤´¤¶¤¤¤Þ¤¹¡£
|

|
| µû¼ï |
£²£°£±£µ¥¯¥í¥À¥¤¡¦¥°¥ì¥À¡¼¥Ó¡¼ |
¾ì½ê |
ͳÎÉ |
| ¤Ä¤ê¿Í |
¥Ë¥Ã¥¯¥Í¡¼¥à¡¡ÂÀÅÄÍÍ
|
¡Ú¾ðÊó¡ÛÄᲬŹ |
|
Äà²Ì
|
¡ÚÆü»þ¡Û£±£±·î£¸Æü
¡ÚÄà²Ì¡Û¥¯¥í¥À¥¤¡¡£´£°Ñ¡¡£±¡¥£°£±£ë£ç¡¡Â¾
¤ª¤á¤Ç¤È¤¦¤´¤¶¤¤¤Þ¤¹¡£
|
|
| µû¼ï |
¥·¡¼¥Ð¥¹¡¢¥Ò¥é¥á¡¢¥µ¥ï¥é |
¾ì½ê |
°ë¾ì¡¢µÜÌ |
| ¤Ä¤ê¿Í |
ÉÙ³ßÍÍ |
¡Ú¾ðÊó¡ÛÄᲬŹ |
|
Äà²Ì
|
¡ÚÆü»þ¡Û£±£±·î£¸Æü
¡ÚÄà²Ì¡Û¡¡£·£¹¡¥£µÑ¡¡£³¡¥£·kg¡¡Â¾
¤ª¤á¤Ç¤È¤¦¤´¤¶¤¤¤Þ¤¹¡£
|
|
| µû¼ï |
£²£°£±£µ¥¯¥í¥À¥¤¡¦¥°¥ì¥À¡¼¥Ó¡¼ |
¾ì½ê |
òÍ¥öºê |
| ¤Ä¤ê¿Í |
¥Ë¥Ã¥¯¥Í¡¼¥à¡¡ÀºÎ®²ñJÍÍ
|
¡Ú¾ðÊó¡ÛÄᲬŹ |
|
Äà²Ì
|
¡ÚÆü»þ¡Û£±£±·î£¸Æü
¡ÚÄà²Ì¡Û¥¯¥í¥À¥¤¡¡£µ£°Ñ¡¡£±¡¥£¸£·£ë£ç¡¡
¤ª¤á¤Ç¤È¤¦¤´¤¶¤¤¤Þ¤¹¡£
|

|
| µû¼ï |
¥·¡¼¥Ð¥¹ |
¾ì½ê |
ÀÖÀ¡¼¥Õ |
| ¤Ä¤ê¿Í |
°ÂÉôÍÍ |
¡Ú¾ðÊó¡ÛÄᲬŹ |
|
Äà²Ì
|
¡ÚÆü»þ¡Û£±£±·î£¸Æü
¡ÚÄà²Ì¡Û¡¡£·£¸¡¥£µÑ¡¡£³¡¥£¶kg
¤ª¤á¤Ç¤È¤¦¤´¤¶¤¤¤Þ¤¹¡£
|

|
|
| µû¼ï |
£²£°£±£µ¥¯¥í¥À¥¤¡¦¥°¥ì¥À¡¼¥Ó¡¼ |
¾ì½ê |
¤Á¥²¼ |
| ¤Ä¤ê¿Í |
¥Ë¥Ã¥¯¥Í¡¼¥à¡¡GGÍÍ
|
¡Ú¾ðÊó¡ÛÄᲬŹ |
|
Äà²Ì
|
¡ÚÆü»þ¡Û£±£±·î£·Æü
¡ÚÄà²Ì¡Û¥¯¥í¥À¥¤¡¡£³£¶Ñ¡¡£°¡¥£¶£·£ë£ç¡¡
¤ª¤á¤Ç¤È¤¦¤´¤¶¤¤¤Þ¤¹¡£
|
|
| µû¼ï |
£²£°£±£µ¥¯¥í¥À¥¤¡¦¥°¥ì¥À¡¼¥Ó¡¼ |
¾ì½ê |
¾Ý³ã |
| ¤Ä¤ê¿Í |
¥Ë¥Ã¥¯¥Í¡¼¥à¡¡GEKICHOUÍÍ
|
¡Ú¾ðÊó¡ÛÄᲬŹ |
|
Äà²Ì
|
¡ÚÆü»þ¡Û£±£±·î£·Æü
¡ÚÄà²Ì¡Û¥¯¥í¥À¥¤¡¡£´£¹Ñ¡¡£±¡¥£¶£¸£ë£ç¡¡Â¾
¤ª¤á¤Ç¤È¤¦¤´¤¶¤¤¤Þ¤¹¡£
|
|
|
| µû¼ï |
¥·¡¼¥Ð¥¹ |
¾ì½ê |
¿·³ãÅì¹Á |
| ¤Ä¤ê¿Í |
ÀîºêÍÍ |
¡Ú¾ðÊó¡ÛÊÆÂôŹ |
|
Äà²Ì
|
¡ÚÆü»þ¡Û£±£±·î£´Æü
¡ÚÄà²Ì¡Û¡¡£·£±Ñ¡¡
¤ª¤á¤Ç¤È¤¦¤´¤¶¤¤¤Þ¤¹¡£
|
|
| µû¼ï |
£²£°£±£µ¥¯¥í¥À¥¤¡¦¥°¥ì¥À¡¼¥Ó¡¼ |
¾ì½ê |
ͳÎÉ |
| ¤Ä¤ê¿Í |
¥Ë¥Ã¥¯¥Í¡¼¥à¡¡YasuÍÍ
|
¡Ú¾ðÊó¡ÛÄᲬŹ |
|
Äà²Ì
|
¡ÚÆü»þ¡Û£±£±·î£´Æü
¡ÚÄà²Ì¡Û¥¯¥í¥À¥¤¡¡£´£²¡¥£¹Ñ¡¡£±¡¥£°£¸£ë£ç¡¡Â¾
¤ª¤á¤Ç¤È¤¦¤´¤¶¤¤¤Þ¤¹¡£
|
|
| µû¼ï |
£²£°£±£µ¥¯¥í¥À¥¤¡¦¥°¥ì¥À¡¼¥Ó¡¼ |
¾ì½ê |
ͳÎÉ |
| ¤Ä¤ê¿Í |
¥Ë¥Ã¥¯¥Í¡¼¥à¡¡ÌÚ¼ÍÍ
|
¡Ú¾ðÊó¡ÛÄᲬŹ |
|
Äà²Ì
|
¡ÚÆü»þ¡Û£±£±·î£´Æü
¡ÚÄà²Ì¡Û¥¯¥í¥À¥¤¡¡£³£¸¡¥£¶Ñ¡¡£°¡¥£¹£¹£ë£ç¡¡
¤ª¤á¤Ç¤È¤¦¤´¤¶¤¤¤Þ¤¹¡£
|
|
| µû¼ï |
£²£°£±£µ¥¯¥í¥À¥¤¡¦¥°¥ì¥À¡¼¥Ó¡¼ |
¾ì½ê |
º´ÅÏ |
| ¤Ä¤ê¿Í |
¥Ë¥Ã¥¯¥Í¡¼¥à¡¡£Á£Ë£É£Ò£ÁÍÍ
|
¡Ú¾ðÊó¡ÛÄᲬŹ |
|
Äà²Ì
|
¡ÚÆü»þ¡Û£±£±·î£³Æü
¡ÚÄà²Ì¡Û¥¯¥í¥À¥¤¡¡£´£·Ñ¡¡£±¡¥£µ£µkg
¡¡¡¡¡¡¡¡¥°¥ì¡¡£´£¶¡¥£µÑ¡¡£±¡¥£´£·kg ¡¡Â¾¡¡
¤ª¤á¤Ç¤È¤¦¤´¤¶¤¤¤Þ¤¹¡£
|
|
|
| µû¼ï |
¥á¥Ð¥ë¡¡Â¾ |
¾ì½ê |
¼òÅÄ |
| ¤Ä¤ê¿Í |
ÅļÍÍ |
¡Ú¾ðÊó¡ÛŷƸŹ |
|
Äà²Ì
|
¡ÚÆü»þ¡Û£±£±·î£²Æü
¡ÚÄà²Ì¡Û¡¡£³£³Ñ¡¡£¶£¸£²£ç¡¡Â¾
¤¹¤´¤¤¥Ü¥ê¥å¡¼¥à¡ª¸ÞÌÜÄà¤êãÀ®¡ª¤ª¤á¤Ç¤È¤¦¤´¤¶¤¤¤Þ¤¹¡£
|

|
| µû¼ï |
£²£°£±£µ¥¯¥í¥À¥¤¡¦¥°¥ì¥À¡¼¥Ó¡¼ |
¾ì½ê |
ÈôÅç |
| ¤Ä¤ê¿Í |
¥Ë¥Ã¥¯¥Í¡¼¥à¡¡Â¿ÅÄÍÍ
|
¡Ú¾ðÊó¡Û»³·ÁËÌŹ |
|
Äà²Ì
|
¡ÚÆü»þ¡Û£±£±·î£²Æü
¡ÚÄà²Ì¡Û¥¯¥í¥À¥¤¡¡£´£°¡¥£µÑ¡¡£±¡¥£°£´£ë£ç¡¡
¡¡¥°¥ì¡¡£´£´Ñ¡¢£±¡¥£µ£³kg ¡¦£³£±Ñ¡¢£°¡¥£µ£¹kg
¤ª¤á¤Ç¤È¤¦¤´¤¶¤¤¤Þ¤¹¡£
|

|
| µû¼ï |
£²£°£±£µ¥¯¥í¥À¥¤¡¦¥°¥ì¥À¡¼¥Ó¡¼ |
¾ì½ê |
²¹³¤ |
| ¤Ä¤ê¿Í |
¥Ë¥Ã¥¯¥Í¡¼¥à¡¡¿û¸¶ÍÍ
|
¡Ú¾ðÊó¡ÛÄᲬŹ |
|
Äà²Ì
|
¡ÚÆü»þ¡Û£±£±·î£²Æü
¡ÚÄà²Ì¡Û¥°¥ì¡¡£²£·¡¥£µÑ¡¡£°¡¥£³£¶£ë£ç¡¡Â¾¡¡
¥°¥ìÂçµù¤ª¤á¤Ç¤È¤¦¤´¤¶¤¤¤Þ¤¹¡£
|
|
|
| µû¼ï |
£²£°£±£µ¥¯¥í¥À¥¤¡¦¥°¥ì¥À¡¼¥Ó¡¼ |
¾ì½ê |
¿²²° |
| ¤Ä¤ê¿Í |
¥Ë¥Ã¥¯¥Í¡¼¥à¡¡»³ºêÍÍ
|
¡Ú¾ðÊó¡ÛÄᲬŹ |
|
Äà²Ì
|
¡ÚÆü»þ¡Û£±£±·î£±Æü
¡ÚÄà²Ì¡Û¥¯¥í¥À¥¤¡¡£´£µ¡¥£µÑ¡¡£±¡¥£³£³£ë£ç¡¡
£´£´Ñ¡¢£±¡¥£²£³kg ¡¡£´£±¡¥£µÑ¡¢£±¡¥£±£µkg
¤ª¤á¤Ç¤È¤¦¤´¤¶¤¤¤Þ¤¹¡£
|
|
| µû¼ï |
£²£°£±£µ¥¯¥í¥À¥¤¡¦¥°¥ì¥À¡¼¥Ó¡¼ |
¾ì½ê |
²ÃÌÐ |
| ¤Ä¤ê¿Í |
¥Ë¥Ã¥¯¥Í¡¼¥à¡¡°ËÅÄÍÍ
|
¡Ú¾ðÊó¡ÛÄᲬŹ |
|
Äà²Ì
|
¡ÚÆü»þ¡Û£±£±·î£±Æü
¡ÚÄà²Ì¡Û¥¯¥í¥À¥¤¡¡£´£¶Ñ¡¡£±¡¥£´£¸kg¡¢ £³£¸Ñ¡¡£°¡¥£¹£·kg¡¡¡¡
¤ª¤á¤Ç¤È¤¦¤´¤¶¤¤¤Þ¤¹¡£
|

|
| µû¼ï |
£²£°£±£µ¥¯¥í¥À¥¤¡¦¥°¥ì¥À¡¼¥Ó¡¼ |
¾ì½ê |
¿á±º |
| ¤Ä¤ê¿Í |
¥Ë¥Ã¥¯¥Í¡¼¥à¡¡GEKICHOUÍÍ
|
¡Ú¾ðÊó¡ÛÄᲬŹ |
|
Äà²Ì
|
¡ÚÆü»þ¡Û£±£±·î£±Æü
¡ÚÄà²Ì¡Û¥¯¥í¥À¥¤¡¡£´£¸¡¥£³Ñ¡¡£±¡¥£¹£´£ë£ç¡¡
Âιâ¤â¤¢¤êÇ÷ÎϤΤ¢¤ë°ìËç¤Ç¤¹¡£
|
|
|
| ¡¡ |
| ¡¡ |
| ¡¡ |
| ¡¡ |
| ¡¡ |
| ¡¡ |
| ¡¡ |
| ¡¡ |
| ¡¡ |
| ¡¡ |
| ¡¡ |
| ¡¡ |
| ¡¡ |
| ¡¡ |
| ¡¡ |
| ¡¡ |
| ¡¡ |
| ¡¡ |
| ¡¡ |
| ¡¡ |
| ¡¡ |
| ¡¡ |
| ¡¡ |
| ¡¡ |
| ¡¡ |
| ¡¡ |
| ¡¡ |
| ¡¡ |
| ¡¡ |
| µû¼ï |
|
¾ì½ê |
|
| ¤Ä¤ê¿Í |
ÍÍ |
¡Ú¾ðÊó¡Û |
|
Äà²Ì
|
¡ÚÆü»þ¡Û
¡ÚÄà²Ì¡Û
|
|
|
| µû¼ï |
¡¡ |
¾ì½ê |
¡¡ |
| ¤Ä¤ê¿Í |
¡¡ |
¡Ú¾ðÊó¡Û |
|
Äà²Ì
|
¡ÚÆü»þ¡Û
¡ÚÄà²Ì¡Û |
|